- 価格1億3,500万円
- 種別売地
- 所在地
- 愛知県名古屋市千種区西山元町1 西山元町1
- 交通
- 名古屋市営東山線 覚王山駅 徒歩7分
物件詳細
| 駐車場 | 取引態様 | 仲介 | |
|---|---|---|---|
| 引渡/入居時期 | 相談 | 現況 | 更地 |
| 地目 | 宅地 | 用途地域 | 第一種中高層住居専用地域 |
| 都市計画 | 市街化区域 | 地勢 | |
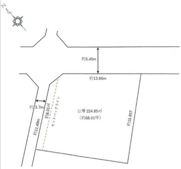
| 土地面積 | 224.76m² | 土地面積計測方式 | 公簿 |
| セットバック | 有 | セットバック量 | |
| 建ぺい率 | 60% | 容積率 | 200% |
| 土地権利 | 所有権 | 接道状況 | 角地 |
| 接道方向1 | 北東 | 接道間口1 | 13.8m |
| 接道種別1 | 公道 | 接道幅員1 | 5.4m |
| 接道方向2 | 北西 | 接道間口2 | 11.4m |
| 接道種別2 | 公道 | 接道幅員2 | 2.7m |
| 周辺環境 |
田代小学校 城山中学校 フランテロゼ、日泰寺 |
||
| 設備・条件 | 角地 都市ガス 公営水道 排水下水 高度地域、準防火 |
||
| 物件番号 | |||
名古屋市千種区西山元町の土地
更地渡し
北西角地 整形地約68坪
東山線 覚王山駅 徒歩7分の好立地
田代小学校、城山中学校 人気の学区
閑静な住宅
※物件掲載内容と現況に相違がある場合は現況を優先と致します。



